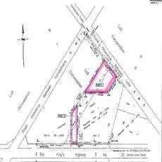
23819 Coldstream Road Middlesex Centre Ontario N0M 2A0
Property
Details
MLS ID:
X12725712
Price:
$949,000
Lot Depth:
282.03
Transaction Types:
For Sale
Ref ID:
X12725712
Year Built:
N/A
Dir / Cross St:
Egremont Drive
Status:
Active
Tax Year:
2025
Property Type:
Land
Property Type:
Commercial
Property Sub Category:
Vacant land
Pricing
History
Taxes:
N/A
Last Status
New,
Original Price:
$0
Sold Price:
$0
Addl Monthly Fees:
$0
Address
Country:
US
State:
ON
County:
Middlesex
City:
Middlesex Centre
Neighbourhood:
Middlesex Centre
Zipcode:
N0M 2A0
Neighborhood:
794559
Community:
Rural Middlesex Centre
Street:
Coldstream
Street Number:
23819
Street Suffix:
Road
Longitude:
W82° 31' 54.7''
Latitude:
N43° 0' 11.7''
Brokerage
Listing Entry Date:
23/01/2026 20:29:47
Office Name:
RE/MAX CENTRE CITY REALTY INC.
Agent
Info
No Image
robinl@sixy.ca